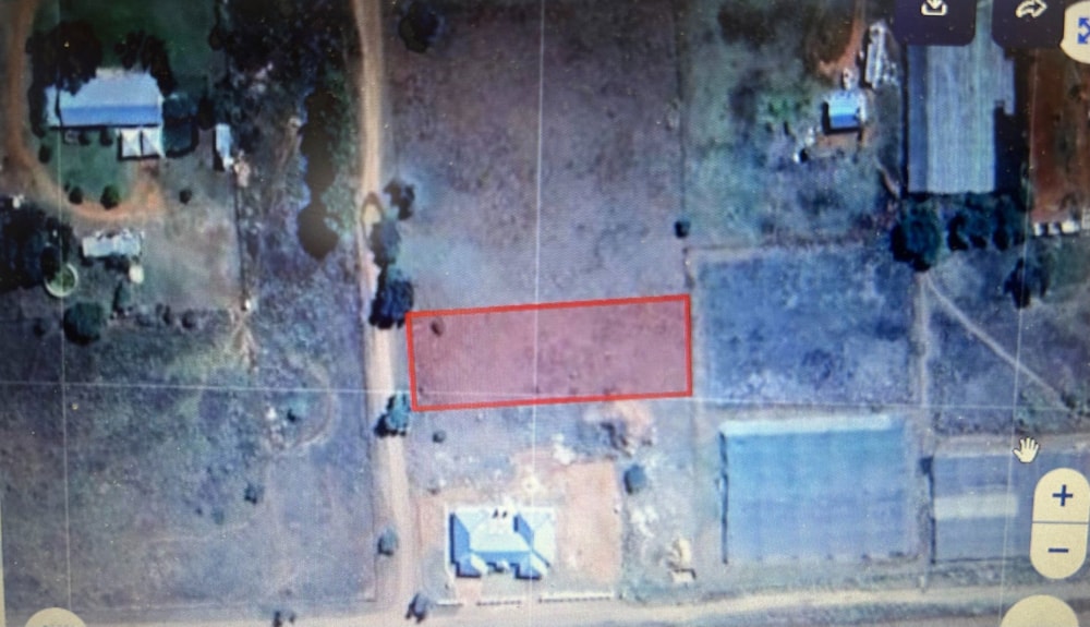
Residential vacant land for sale in Ritchie
R280,000
plus transfer duty
- Erf 2127 m²
Prime Residential Land Opportunity in Ritchie
An exceptional opportunity to secure a generous 2,127m² vacant residential stand in Ritchie. This well-sized parcel of land offers the perfect blank canvas to design and build your ideal home or explore ...







